Ant Pest Control Methods That Target Colonies at the Source

People seeking ant pest control methods that target colonies at the source aim to eliminate ants effectively by addressing their entire nest, and local service providers can help implement these targeted solutions.

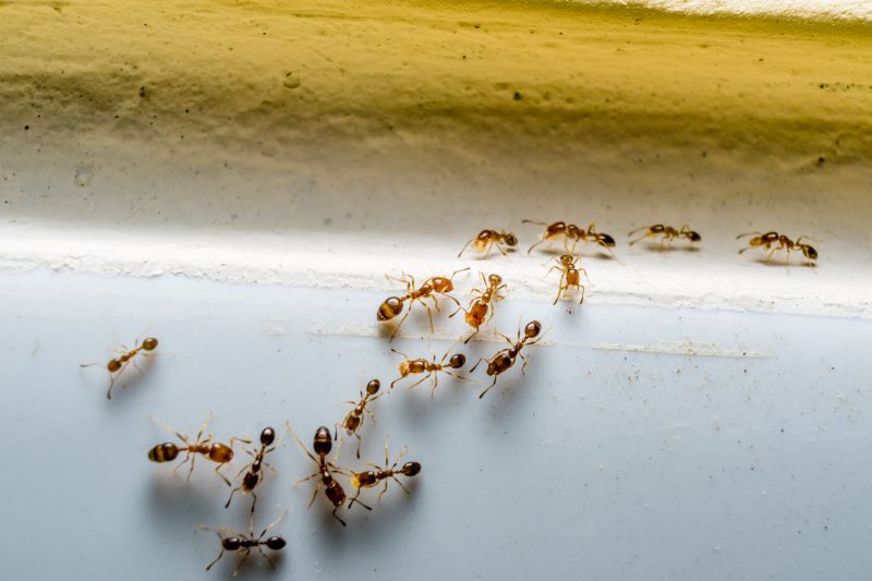
Ant infestations can quickly become a persistent problem for property owners, especially when colonies establish themselves deep within the landscape or structures. Exploring ant pest control methods that target colonies at the source is a practical approach to managing these pests effectively. By addressing the colony itself rather than just surface trails or individual ants, property owners can achieve longer-lasting results and reduce the likelihood of future invasions. Local service providers specialize in these targeted strategies, offering solutions designed to eliminate the entire colony and prevent re-infestation.

Understanding how to tackle ant colonies at their source is crucial for those seeking a comprehensive pest management plan. Property owners in the area often turn to local contractors who have experience with these specialized methods, ensuring that treatments are both effective and appropriate for their specific situation. Whether dealing with ants invading a garden, yard, or inside a building, connecting with knowledgeable professionals can help implement the most suitable control techniques. Keep reading to learn more about the options available and how local experts can help keep ant colonies at bay.

Get Quotes for Ant Pest Control

  • Colony elimination - when homeowners notice large ant infestations, local contractors use targeted treatments to eliminate entire colonies at the source.
  • Nest destruction - if ants are nesting indoors or in hidden outdoor locations, service providers employ methods to locate and destroy nests directly.
  • Barrier treatments - for properties experiencing ongoing ant activity, local pros apply barrier methods that prevent colonies from expanding into living spaces.
  • Baiting strategies - when controlling colonies at the source, experts set up bait stations that worker ants carry back to the nest to eradicate the colony efficiently.
  • Structural interventions - in cases where ants are persistent, contractors may implement structural treatments to disrupt colony access points and eliminate source populations.
Ant Pest Control Methods That Target Colonies At The Source
Ant Pest Control Methods That Target Colonies At The Source
Ant Pest Control Methods That Target Colonies At The Source

When searching for information about ant pest control methods that target colonies at the source, most people are looking for ways to effectively eliminate entire ant nests rather than just dealing with visible ants. This approach aims to treat the colony where it begins, often underground or hidden within structures, to prevent ongoing infestations. Homeowners typically want solutions that provide long-term relief by addressing the root of the problem, rather than temporary fixes that only reduce the number of ants crawling around. Understanding this focus helps clarify why targeting colonies at the source is a key part of comprehensive ant control strategies.

These methods are closely related to problems involving persistent ant invasions in homes, yards, or commercial properties. Ant colonies can be difficult to control because they often have multiple queens and extensive underground networks. When dealing with these issues, property owners may consider plans that involve locating and treating the colony directly, which can include baiting, soil treatments, or targeted application of insecticides. Local service providers that specialize in ant pest control are equipped to identify colony locations and implement these source-targeting techniques, helping to reduce the likelihood of future invasions.

Properties that typically come up in discussions about ant colony control include residential homes, especially those with gardens or mulch beds, as well as commercial buildings where food storage or preparation occurs. Structures with cracks, crevices, or foundation gaps often provide easy access points for ants to establish colonies nearby. Additionally, properties with landscaping features like wood piles or compost bins can attract ants and support colony growth. Local contractors experienced in ant pest control understand how to assess these environments and develop plans that focus on eliminating colonies at their source, ensuring a more effective and lasting solution.

For homeowners considering ant pest control, understanding how these methods work is essential to making informed decisions. Targeting colonies at the source involves techniques that locate and treat the nest directly, often with baiting or soil treatments that reach deep into the colony. Local pros can perform thorough inspections to find hidden nests and apply appropriate treatments that disrupt the colony’s structure. Connecting with experienced service providers ensures that the chosen approach is tailored to the specific property and ant species involved, increasing the chances of achieving long-term control and preventing future infestations.

Termite Inspection and Control - professionals skilled in identifying and treating colonies at the source can apply targeted methods to eliminate ant nests alongside termite activity.

Wildlife Removal Services - local contractors experienced in humane removal can assist with ant colonies that have established in or around animal burrows and nesting sites.

Rodent Control Projects - experts in rodent exclusion often use similar planning and baiting techniques to disrupt ant colonies at their source effectively.

Drainage and Moisture Management - service providers addressing moisture issues can help reduce ant attractants, supporting colony-targeting efforts.

Landscape Pest Management - local pros specializing in yard and garden pest control can implement barrier treatments that prevent ant colonies from spreading.

Chemical Barrier Installation - pest control specialists can set up physical and chemical barriers to intercept ant colonies at their entry points and nesting sites.

Ant Pest Control Methods That Target Colonies At The Source

When evaluating service providers for ant pest control methods that target colonies at the source, it is important to consider their experience with similar projects. Homeowners should inquire about how many times the contractor has handled ant infestations involving colony targeting, especially in cases comparable to their own property. An experienced local contractor will have a better understanding of the most effective strategies to eliminate colonies at their core, reducing the likelihood of recurring issues. Additionally, asking for reputable references or reviews can provide insight into their track record with ant control services, helping to gauge the quality and reliability of their work.

Clear written expectations are essential when selecting a pest control provider. Homeowners should seek detailed information about what the service includes, such as whether the approach involves targeting colonies directly or focuses on perimeter treatments. Understanding the scope of work helps ensure there are no misunderstandings about what will be done and what results to anticipate. Good communication from the contractor-such as prompt responses to questions and clarity about procedures-can make the process smoother and more transparent, allowing homeowners to feel confident in the service plan.

Reputable local service providers will prioritize good communication and transparency throughout the process. Homeowners are encouraged to contact multiple contractors to gauge how responsive and informative they are during initial discussions. A contractor who clearly explains their approach to ant pest control methods that target colonies at the source, and who is willing to answer questions about their techniques, can be a sign of professionalism and reliability. Building a relationship based on open communication helps ensure that expectations are aligned and that the homeowner feels comfortable with the chosen provider’s approach to effectively managing ant colonies at their source.

Get a Quote for Ant Pest Control

Property owners often search for ant pest control methods that target colonies at the source when they are planning practical projects around their homes and businesses. Local pros provide Ant Pest Control services for everyday jobs and straightforward project options.

Ant Pest Control Methods That Target Colonies At The Source
Ant Pest Control Methods That Target Colonies At The Source

Property owners in the area often seek out ant pest control methods that target colonies at the source to effectively manage persistent ant problems. Common situations include noticing ants inside the home or around the yard, especially near moisture sources or entry points. When ants form large colonies underground or within structures, traditional surface treatments may not fully eliminate the issue. Local contractors experienced in ant control can implement targeted strategies to locate and treat the colony at its core, reducing the chances of reinfestation and providing a more lasting solution.

Many property owners look for professional ant pest control services because DIY methods might only offer temporary relief or fail to reach hidden colonies. By addressing the problem at its source, local service providers can apply specialized treatments that penetrate deep into the nest or colony area. This approach helps prevent ants from returning and minimizes ongoing disturbances. Connecting with local contractors who understand the specific ant species and their nesting habits can ensure that the control methods used are both effective and appropriate for the situation.

Get a Quote for Ant Pest Control

What are effective ant pest control methods that target colonies at the source? Local contractors often use baiting systems and targeted treatments to eliminate ant colonies by focusing on their nests and foraging trails, reducing the chance of re-infestation.

How do pest control services locate ant colonies at their source? Service providers typically inspect common nesting sites such as soil, wood, and hidden crevices to identify and treat the colony directly, ensuring a more thorough eradication.

Can ant baiting be used to target colonies at the source? Yes, professional baiting strategies are designed to attract ants to poisoned bait, which is then carried back to the colony, effectively eliminating the entire nest at its source.

What types of treatments are used to target ant colonies underground? Local pros may use soil treatments and bait stations placed near suspected underground nests to directly target and eliminate colonies at their source.

Why is targeting colonies at the source important for ant pest control? Focusing on the colony at its source helps prevent future infestations by removing the entire nest, rather than just the visible ants, leading to more effective long-term control.

Baiting Strategies - Property owners can implement bait stations around entry points and known ant trails with help from local contractors, targeting colonies at their source.

Nest Identification - Local pros can assist in locating and treating hidden nests within walls, soil, or debris to disrupt ant colonies directly at their source.

Barrier Treatments - Applying barrier sprays around the perimeter of a property can prevent ants from reaching indoor spaces, working in conjunction with colony-targeting methods.

Environmental Modifications - Removing food sources, sealing entry points, and managing landscaping with guidance from service providers can reduce ant attraction and colony establishment.

Ant Pest Control Methods That Target Colonies At The Source

If you are thinking about ant pest control methods that target colonies at the source for a property, this guide is meant to help you understand this topic, the typical project types, and how different options might fit your plans.

When you are ready, you can use the quote form on this page to share a few details about your project. From there, local pros can review the basics and follow up with options that match what you have in mind.

Get a Quote for Ant Pest Control

Ant Pest Control Quotes

Our Trusted Partners
North Florida Lawn & Pest, LLC
Rentokil-Terminix
Bulwark Exterminating