Fast-Acting Ant Extermination Techniques

Reduce ant populations quickly with targeted solutions that address the source of the problem.

Effective ant control is essential for maintaining a clean and hygienic environment in residential and commercial spaces. Ant infestations can lead to contamination of food supplies and create discomfort. Professional ant control services utilize targeted strategies to eliminate colonies and prevent future invasions.

Ant Control Treatment
Ant Control Treatment

A professional treatment applied around the perimeter of a property helps to establish a barrier against ant entry.

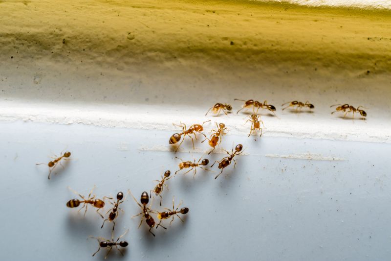
Ant Trails
Ant Trails

Identification of ant trails allows for precise targeting of colonies and nesting sites.

Infested Kitchen
Infested Kitchen

Addressing kitchen infestations involves thorough cleaning and targeted application of control agents.

Ant control methods vary depending on the species and extent of the infestation. Common techniques include baiting, residual insecticide applications, and habitat modification. Proper identification of ant species is crucial for selecting the most effective approach.

Duration of Professional Ant Control Treatments

A professional ant control service typically takes between one to three hours, depending on the size of the property and severity of the infestation. Follow-up visits may be scheduled to ensure complete eradication and monitor for re-infestation.

Ant Control Process

The process begins with a thorough inspection to identify ant species and nesting sites. Treatment plans are then developed, involving targeted application of bait and insecticides. After treatment, areas are monitored, and additional measures are implemented if necessary to prevent future invasions.

Advantages of Hiring Professionals for Ant Control

Professional ant control ensures effective elimination of colonies with minimal disruption. Experts use specialized tools and techniques to target hidden nests and prevent re-infestation. This approach reduces the risk of chemical exposure and provides long-term protection.

Completed Ant Control
Completed Ant Control

A treated area showing a clean, pest-free environment after professional intervention.

Infestation Removal
Infestation Removal

Before and after images demonstrating the removal of ant colonies.

Property After Treatment
Property After Treatment

A property exterior post-treatment, showcasing a pest-free perimeter.

For those seeking effective ant control solutions, filling out the contact form provides an opportunity to receive a detailed quote tailored to specific needs. Professional services offer peace of mind through proven methods and comprehensive treatment plans.

Ant Control Quotes

Our Trusted Partners
North Florida Lawn & Pest, LLC
Rentokil-Terminix
Bulwark Exterminating